Relatório da Organização Meteorológica Mundial aponta aceleração das mudanças climáticas e aumento de eventos extremos, reforçando urgência de ação global

Clima da Terra está mais instável do que nunca, alerta ONU
O clima global entrou em uma fase de instabilidade sem precedentes, segundo novo alerta da Organização Meteorológica Mundial (OMM). A agência aponta que a combinação entre o aquecimento global causado por atividades humanas e o fenômeno natural El Niño pode impulsionar a temperatura do planeta a níveis recordes nos próximos meses com impactos severos para ecossistemas, economias e populações humanas.
A OMM destaca que sinais de descontrole climático já são visíveis em diversas regiões do mundo: ondas de calor mais intensas, chuvas torrenciais, secas prolongadas e eventos extremos cada vez mais frequentes. Esse cenário evidencia que o sistema climático da Terra está se tornando mais errático e imprevisível.

O papel do El Niño no agravamento da crise
O fenômeno El Niño, caracterizado pelo aquecimento das águas do Oceano Pacífico equatorial, tende a elevar ainda mais as temperaturas globais. Quando combinado com o aquecimento provocado pela emissão de gases de efeito estufa, o resultado pode ser explosivo.
📌 O problema:
Quando combinado com o aquecimento já existente, ele funciona como um “acelerador climático”.
Especialistas alertam que esse novo ciclo de El Niño pode levar o planeta a ultrapassar, temporariamente, o limite de 1,5°C de aquecimento em relação aos níveis pré-industriais meta estabelecida pelo Acordo de Paris para evitar os piores impactos da crise climática.
Impactos globais: da segurança alimentar ao colapso ambiental
A intensificação do calor global não é apenas uma questão de números seus efeitos já atingem diretamente a vida na Terra:
🌾 Impactos diretos na vida humana e na natureza
As consequências vão muito além do aumento de temperatura:
🍞 Segurança alimentar ameaçada
A produção agrícola sofre com calor extremo e irregularidade das chuvas.
💧 Crise hídrica
Reservatórios secam e o acesso à água potável se torna mais difícil.
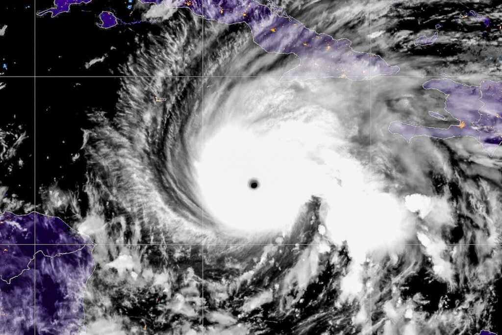
🌪️ Eventos extremos mais frequentes
Furacões, enchentes e secas se tornam mais intensos e destrutivos.
🐾 Colapso da biodiversidade
Espécies não conseguem se adaptar à velocidade das mudanças.

Além disso, populações mais vulneráveis, especialmente em países em desenvolvimento, tendem a sofrer os maiores impactos, ampliando desigualdades sociais e econômicas.

Um alerta que não pode mais ser ignorado
A OMM reforça que a atual instabilidade climática não é um evento isolado, mas parte de uma tendência contínua agravada pela ação humana. A queima de combustíveis fósseis, o desmatamento e o modelo de desenvolvimento insustentável continuam acelerando o aquecimento global.
O alerta da ONU é claro: sem uma redução rápida e significativa nas emissões de gases de efeito estufa, eventos extremos se tornarão ainda mais frequentes e intensos.
O que está em jogo agora
O momento exige respostas urgentes e coordenadas em nível global. Investimentos em energia limpa, proteção de florestas e adaptação climática são fundamentais para evitar um cenário ainda mais crítico nas próximas décadas.
A instabilidade climática atual é um sinal inequívoco de que o planeta está se aproximando de pontos de não retorno. O El Niño pode ser apenas o gatilho de uma nova série de recordes alarmantes mas a causa principal continua sendo a ação humana.

⚠️ O planeta em desequilíbrio
Os sinais dessa instabilidade já são visíveis:
- Ondas de calor mais intensas e prolongadas
- Tempestades e chuvas extremas fora de época
- Secas severas em regiões agrícolas
- Incêndios florestais mais frequentes
Esses eventos mostram que o sistema climático está se tornando cada vez mais imprevisível um reflexo direto do desequilíbrio ambiental causado pelas emissões de gases de efeito estufa.
🌎 Um alerta que não pode mais ser ignorado
A Organização Meteorológica Mundial reforça que essa instabilidade não é temporária — ela é parte de uma tendência crescente.
A principal causa continua sendo:
- Queima de combustíveis fósseis
- Desmatamento
- Modelo econômico insustentável
Sem mudanças rápidas, os eventos extremos tendem a se intensificar ainda mais.
⏳ O que está em jogo agora
O planeta se aproxima de pontos críticos que podem ser irreversíveis.
✔️ Investir em energia limpa
✔️ Proteger florestas
✔️ Reduzir emissões urgentemente
Essas ações são fundamentais para evitar um cenário climático ainda mais severo.







